Wood Street, Elliot Street intersection improvements

Share Wood Street, Elliot Street intersection improvements on Facebook Share Wood Street, Elliot Street intersection improvements on Twitter Share Wood Street, Elliot Street intersection improvements on Linkedin Email Wood Street, Elliot Street intersection improvements link

Proposal outcome

In October 2025, we proposed safety improvements at the Wood Street, Elliot Street intersection.

Public engagement was conducted via postcard distribution and social media outreach between 13 October- 3 November.

  • 451 individuals visited the project webpage
  • 36 submissions were received

People told us:

  • Safety improvements were needed at this location
  • Suggestions for other intersections to be included in the high-risk intersection programme:

East St and Wellington St

East St and Pahurehure Shops

Ray Small Drive Elliot St

Engagement Outcome

We want to thank the community in the project area for their feedback. After carefully reviewing the feedback we received, we are proceeding with the proposal as planned

We expect to have these changes implemented by mid 2026

We'll be in touch with residents and businesses in the affected work areas before construction begins.


About the project


Making the Wood Street, Elliot Street intersection safer for all road users!

This project is part of Auckland Transport's High-Risk Intersection programme, a safety improvement programme that prioritises safety interventions at high-risk intersections in Auckland.

Between 2019 and 2023, 11 crashes occurred at this intersection, with two additional crashes in 2024. Resulting in four minor injuries and nine non-injury crashes, with 82% related to motorists crossing/turning issues


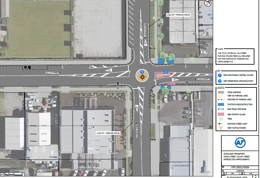
We are proposing the following safety improvements:

  • Installing a mountable roundabout at the intersection of Wood Street and Elliot Street
  • Installing a refuge crossing with a side island on the eastern leg of Elliot Street.
  • Formalise and relocate the existing bus stop on Elliot Street further west to enable the new mountable roundabout.
  • Upgrade the existing line marking and signage to accommodate the new roundabout.
  • Loss of 2 parking spaces in total

The proposal is expected to significantly reduce the likelihood of crashes at the intersection and reduce vehicle speeds in the area. It is also expected to improve safety and amenities for pedestrians in the area.


Benefits and Impacts

  • The roundabout will reduce vehicle speeds, address the current crash patterns, and allow for safer turning movements at the intersection.
  • The improved layout will help drivers navigate the roundabout more easily and reduce confusion about who has priority.
  • The refuge island will improve accessibility and safety for all pedestrians.
  • Parking changes will involve re-allocate road space by removing one on-road parking space on the south leg of Wood Street, and one on the north leg of Wood Street, and painting broken yellow lines to provide queuing spaces for vehicles, ensuring that pedestrians crossing the road can see approaching vehicles clearly.


What happens next

The survey has now been closed, and we are reviewing the feedback.

We’ll post the outcome of this proposal and a summary of community feedback on our website.

Any change to the plan will be updated on our website.

Proposal outcome

In October 2025, we proposed safety improvements at the Wood Street, Elliot Street intersection.

Public engagement was conducted via postcard distribution and social media outreach between 13 October- 3 November.

  • 451 individuals visited the project webpage
  • 36 submissions were received

People told us:

  • Safety improvements were needed at this location
  • Suggestions for other intersections to be included in the high-risk intersection programme:

East St and Wellington St

East St and Pahurehure Shops

Ray Small Drive Elliot St

Engagement Outcome

We want to thank the community in the project area for their feedback. After carefully reviewing the feedback we received, we are proceeding with the proposal as planned

We expect to have these changes implemented by mid 2026

We'll be in touch with residents and businesses in the affected work areas before construction begins.


About the project


Making the Wood Street, Elliot Street intersection safer for all road users!

This project is part of Auckland Transport's High-Risk Intersection programme, a safety improvement programme that prioritises safety interventions at high-risk intersections in Auckland.

Between 2019 and 2023, 11 crashes occurred at this intersection, with two additional crashes in 2024. Resulting in four minor injuries and nine non-injury crashes, with 82% related to motorists crossing/turning issues


We are proposing the following safety improvements:

  • Installing a mountable roundabout at the intersection of Wood Street and Elliot Street
  • Installing a refuge crossing with a side island on the eastern leg of Elliot Street.
  • Formalise and relocate the existing bus stop on Elliot Street further west to enable the new mountable roundabout.
  • Upgrade the existing line marking and signage to accommodate the new roundabout.
  • Loss of 2 parking spaces in total

The proposal is expected to significantly reduce the likelihood of crashes at the intersection and reduce vehicle speeds in the area. It is also expected to improve safety and amenities for pedestrians in the area.


Benefits and Impacts

  • The roundabout will reduce vehicle speeds, address the current crash patterns, and allow for safer turning movements at the intersection.
  • The improved layout will help drivers navigate the roundabout more easily and reduce confusion about who has priority.
  • The refuge island will improve accessibility and safety for all pedestrians.
  • Parking changes will involve re-allocate road space by removing one on-road parking space on the south leg of Wood Street, and one on the north leg of Wood Street, and painting broken yellow lines to provide queuing spaces for vehicles, ensuring that pedestrians crossing the road can see approaching vehicles clearly.


What happens next

The survey has now been closed, and we are reviewing the feedback.

We’ll post the outcome of this proposal and a summary of community feedback on our website.

Any change to the plan will be updated on our website.

Page last updated: 08 Dec 2025, 02:01 PM