Improving crossing safety and accessibility on Stevies Lane, Henderson
Share Improving crossing safety and accessibility on Stevies Lane, Henderson on FacebookShare Improving crossing safety and accessibility on Stevies Lane, Henderson on TwitterShare Improving crossing safety and accessibility on Stevies Lane, Henderson on LinkedinEmail Improving crossing safety and accessibility on Stevies Lane, Henderson link
About this project
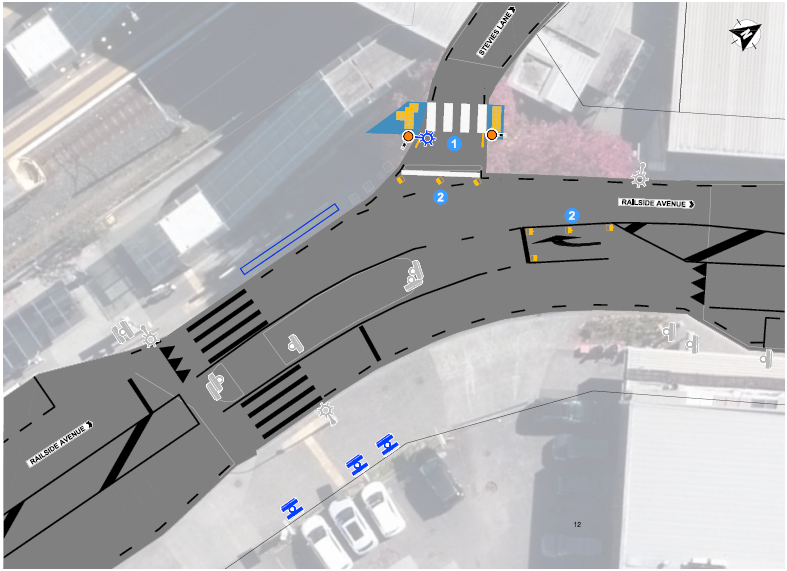
We’re improving crossing safety on Stevies lane by installing an at-grade (not raised) crossing at the entry of Stevies Lane from Railside Avenue near the Henderson Train Station, to safely cross the road. Currently there’s no safe crossing for tamariki and the community to cross this road.
This project is part of the First and Final Leg programme, which aims to make it easier for people to get to train stations on the Rapid Transit Network (RTN). In this case, it’s focused on improving access near the Henderson Train Station. It will also make it safer and easier for people living nearby, including Tamariki at the Henderson High School, encouraging safe walking options in your neighbourhood.
Changes we’re making by mid-2026:
Install a new at-grade (not raised) crossing on Stevies Lane at its entrance from Railside Avenue near the Henderson Train Station.
Relocate the existing Mediaworks digital advertising boards on the western side of Railside Avenue to improve visibility for motorists.
Smart studs will be installed on the crossing (Small lights built into the road near a pedestrian crossing. When someone is crossing, the lights turn on to help drivers notice people walking, especially when turning into a street. This extra warning helps everyone move through the area more safely.)
Minor upgrades will be made to the nearby infrastructure to support the crossing.
A drawing showing the changes is included below.
Benefits to your community
Improves safety for everyone with different accessibility needs, providing a facility to safely cross Stevies Lane to access the bus stop and Henderson Train Station.
Encourages drivers to slow down and take extra care when approaching the crossing.
Better access and connections to public transport, helping with bus reliability and frequency.
Walking is good for the environment and for your health. It helps reduce reliance on cars for local trips, decreasing traffic congestion and reducing our carbon emissions.
What happens next
We will be in touch with local residents and businesses prior to any work taking place.
Any change to the plan will be updated on this website.
How to contact us
If you’d like to discuss our plans, share what you know about your area or let us know if there’s anything we’ve missed, email us at ATEngagement@at.govt.nz or leave us a comment in the box below by 12 April 2026.
About this project
We’re improving crossing safety on Stevies lane by installing an at-grade (not raised) crossing at the entry of Stevies Lane from Railside Avenue near the Henderson Train Station, to safely cross the road. Currently there’s no safe crossing for tamariki and the community to cross this road.
This project is part of the First and Final Leg programme, which aims to make it easier for people to get to train stations on the Rapid Transit Network (RTN). In this case, it’s focused on improving access near the Henderson Train Station. It will also make it safer and easier for people living nearby, including Tamariki at the Henderson High School, encouraging safe walking options in your neighbourhood.
Changes we’re making by mid-2026:
Install a new at-grade (not raised) crossing on Stevies Lane at its entrance from Railside Avenue near the Henderson Train Station.
Relocate the existing Mediaworks digital advertising boards on the western side of Railside Avenue to improve visibility for motorists.
Smart studs will be installed on the crossing (Small lights built into the road near a pedestrian crossing. When someone is crossing, the lights turn on to help drivers notice people walking, especially when turning into a street. This extra warning helps everyone move through the area more safely.)
Minor upgrades will be made to the nearby infrastructure to support the crossing.
A drawing showing the changes is included below.
Benefits to your community
Improves safety for everyone with different accessibility needs, providing a facility to safely cross Stevies Lane to access the bus stop and Henderson Train Station.
Encourages drivers to slow down and take extra care when approaching the crossing.
Better access and connections to public transport, helping with bus reliability and frequency.
Walking is good for the environment and for your health. It helps reduce reliance on cars for local trips, decreasing traffic congestion and reducing our carbon emissions.
What happens next
We will be in touch with local residents and businesses prior to any work taking place.
Any change to the plan will be updated on this website.
How to contact us
If you’d like to discuss our plans, share what you know about your area or let us know if there’s anything we’ve missed, email us at ATEngagement@at.govt.nz or leave us a comment in the box below by 12 April 2026.
Share Share your thoughts on improving crossing safety and accessibility on Stevies Lane, Henderson by 12 April 2026 on FacebookShare Share your thoughts on improving crossing safety and accessibility on Stevies Lane, Henderson by 12 April 2026 on TwitterShare Share your thoughts on improving crossing safety and accessibility on Stevies Lane, Henderson by 12 April 2026 on LinkedinEmail Share your thoughts on improving crossing safety and accessibility on Stevies Lane, Henderson by 12 April 2026 link
Improving crossing safety and accessibility on Stevies Lane, Henderson is currently at this stage
We are informing the community about this project. We welcome you to share your thoughts with us by 12 April 2026.
Closed
this is an upcoming stage for Improving crossing safety and accessibility on Stevies Lane, Henderson
This engagement is now closed. Any queries received via our email will be responded to. We will contact the community before construction starts once dates are confirmed.
Construction
this is an upcoming stage for Improving crossing safety and accessibility on Stevies Lane, Henderson
Construction is planned for the 2026-2027 financial year. Updates will be shared ahead of works beginning.