Improving footpath connections Oteha Valley Road, Albany
Share Improving footpath connections Oteha Valley Road, Albany on Facebook
Share Improving footpath connections Oteha Valley Road, Albany on Twitter
Share Improving footpath connections Oteha Valley Road, Albany on Linkedin
Email Improving footpath connections Oteha Valley Road, Albany link
Consultation has concluded
Project Update - 6 March 2026
The Oteha Valley Road – Shared Path project is delivered under Auckland Transport’s Community Initiated Programme. This programme delivers multi-modal transport improvement projects on the road network that respond to operational and safety concerns raised by our stakeholders and customers.
This project sought to address the gap in cycling infrastructure along Oteha Valley Road, between Albany Highway and the State Highway 1 (SH1) interchange.
Following the closing of the external engagement and endorsement from the Local Board to proceed with delivery, we were made aware of another project being investigated by NZTA looking at improvements at the intersection with Oteha Valley Rd and the SH1 on/off ramps (motorway interchange).
This project will be addressing bus efficiency issues through this section and will affect the proposed changes we are looking to implement. To avoid any clashes/re-work at this location, AT have decided to remove this section from our project. However, as part of the NZTA project they will implement the appropriate safe cycle connections and improvements to complement our works.
Early indications are that the NZTA project is likely to be implemented late FY26–27 or early FY27–28. In the interim utilising the existing crosswalks at the interchange should safely cater to the current demand.
We will proceed with construction, which is scheduled to commence in March 2026.
About the Project:
We’re improving footpath safety and connections along Oteha Valley Road in Albany.
This connects the current shared paths on Albany Highway to the SH1 Motorway shared path at the motorway interchange. It will also provide safe, convenient and well-connected walking and cycling options for people who regularly access local sports grounds, restaurants and shops nearby.
The changes we’re making:
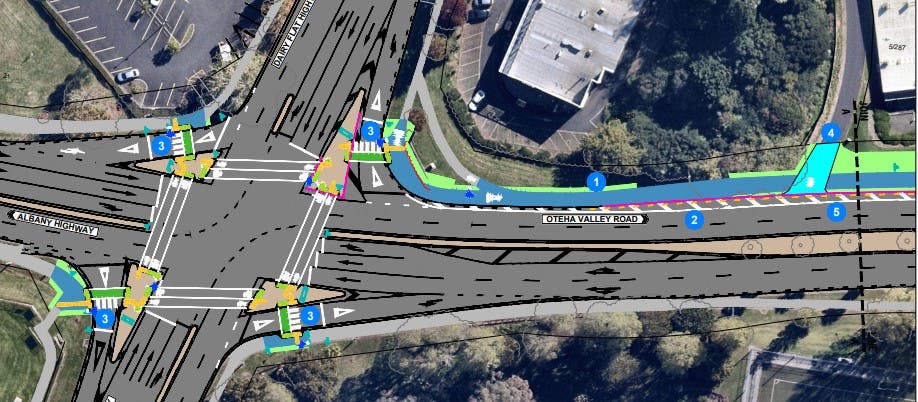
Upgrade the footpath that connects from Albany Station Park and Ride to Albany Highway & Dairy Flat Highway Intersection.
Install new zebra crossings across the slip lanes intersections at the intersection of Oteha Valley Road. Better crossings highlight access and improve safety for parents, caregivers and anyone with mobility needs.
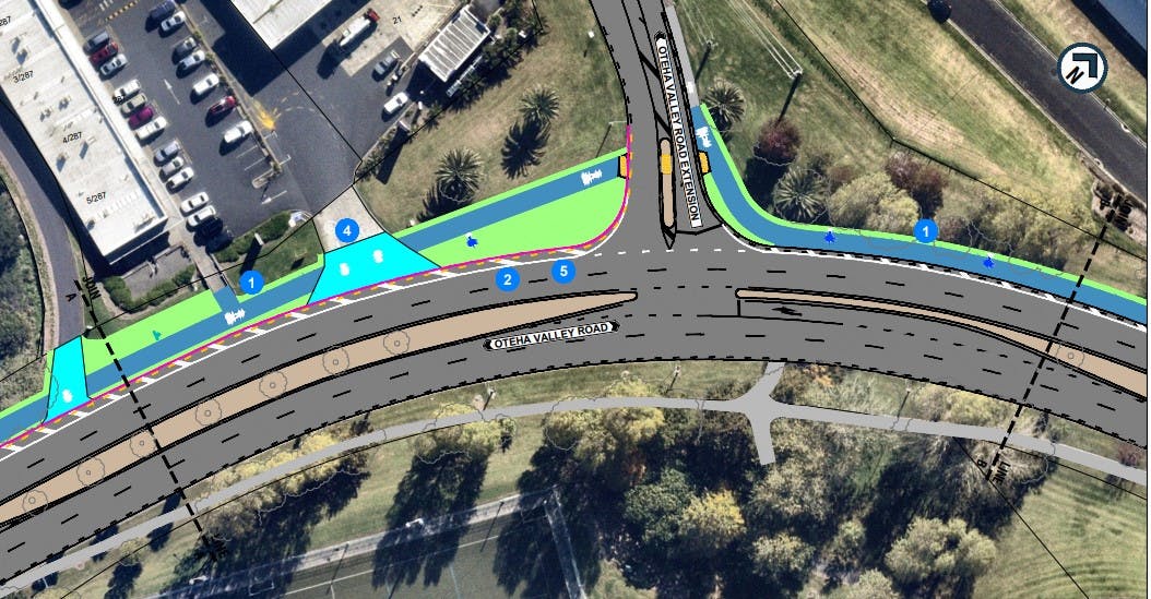
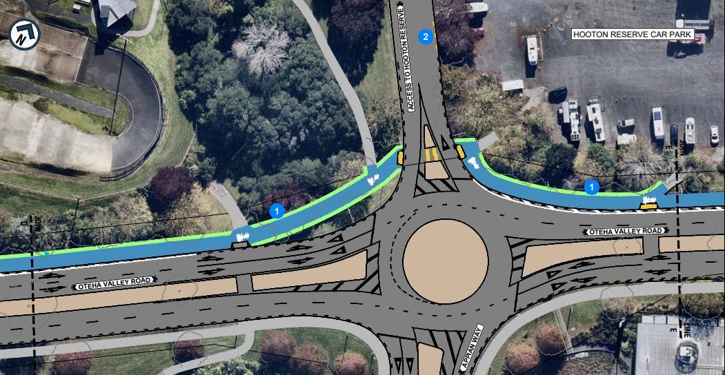
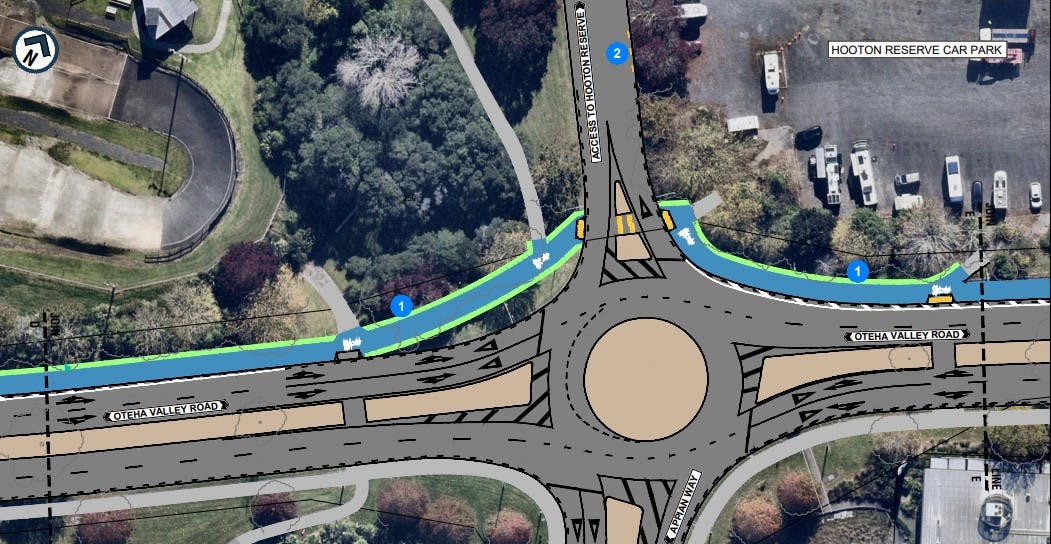
Extend no stopping at all times (broken yellow lines) to improve route safety and visibility for drivers and people on foot. We will need to clear access and re-allocate road space on the entrances of Hooton Reserve car park and Mills Lane, which will remove approx. 16 street parking spaces.
Install crossings at the SH1 northbound off-ramp and northbound on-ramp intersection. This will improve safety and help drivers look for people on foot and cyclists in the area.
Install new pram ramps. Better pram ramps create safe entrances for cyclists and anyone with mobility needs.
Install yellow tactile pavers at the pram crossings to assist visually impaired people in finding their way to crossings and safely navigating the road.
Realign kerbs and regrade existing driveways for level and smooth footpaths to improve surfaces for people on foot and for cyclists to safely navigate vehicle entrances and exits.
Relocation of an existing bus stop and bus shelter.
A full design drawing is available to the right of this page titled "Oteha Valley Road Shared Path Design", which shows where the changes are located on a map.
Site 1 of 10 from the designs attached to this webpage titled "Oteha Valley Road Shared Path Design". Benefits to your community:
Safe cycling connections between the shared path on Albany Highway to the SH1 shared path at the motorway interchange.
Footpaths make it safer for the community by separating motorists and traffic from people on foot.
Well-maintained footpaths are safer for people who walk and ride their bikes and scooters, reducing the risk of being hurt or injured.
More footpaths make it easier and stress-free for you and local children to move about your community, offering better connections to schools, parks, public transport and other local amenities.
Encouraging walking and cycling is good for the environment and your health. It helps reduce reliance on cars for local trips, decreasing traffic congestion and reducing carbon emissions.
Pram crossings have a small ramp at the kerb level to make it safer and more convenient for people pushing prams or strollers to cross roads. It has a small ramp at the curb level, reducing the need to lift the pram, which can be unsafe, especially when managing traffic. It helps ensure those with mobility needs can navigate crossings more easily.









